|
Images radiologiques normales du tube digestif se
basent sur image normale du cliche ASP en position de face
debout et de cubitus dorsale ( de face couche ) . Image
radiologique normale de abdomen en coupe axiale la CT
scanner , images normale de oesophage et estomac en TOGD et
en double de contrast , image de intestin grele normale et
image du colon en contrast baryte et en double de contrast .
Et puit images echographies normales de intestin grele et du gros intestin .
Images radiologique normale du cliche ASP de
face :
| |
-En haut ce sont les deux coupoles
diapragmatique limitant la cavite abdominale
|
| |
- En bas c'est le pelvis |
| |
- En haut et laterale ce sont des
dernieres cotes |
| |
- Au centre : La region dorsolombaire , le rachis lombaire
et puis l'ombre des organe pleins : L'opacite du foie au
niveau de la region sous diphragmatique droite par
lobe droit et sous diapragmatique gauche par lobe
gauche . L'opacite de la rate est a gauche ,
sous diapragmatique gauche et externe . A inferieure
et pres de la colon vertebrale c'est l'ombre des
deux reins( l'ombre renale ) . L'opacite de deux
muscle de psoas peut en voyait de chaque cote de la
colonne lombaire au debut de D12 , L1 incline a deux
fosses iliaques . L'opacite de la vessie en se
voyait lorsqu'elle est en repletition ou en
semi-repletition |
| |
- Le tube digestif : Il est visible
lorsqu'il contient de l'air , |
| |
-L'estomac est toujour
visible et la presence d'air gastrique est normale .
Il situe sur le quadrant superieure gauche de
l'abdomen , la poche gastrique est directement sous
diapragmatique gauche et oblique a inferieure et
attache au transverse colon par ligament gastro-colique
. Image le plus souvent en voyait est image hydro-aerique
de la poche gastrique et sa diametre est variable |
| |
- Le grele du jeune enfant contient toujour d'air mais
le grele de aldulte ne contient pas ou tres peu . .Situe
au centre de l'abdomen et en circle par des plies
muqueuses et il peut efface en distendue . Sa
diametre peut atteint 30mm |
| |
- Colon contient toujour d'air et le plus
souvent est le ceacum , angle colique droit , angle
colique gauche . Et dans image de gaz du colon on
peut voyait encore image des selles de sa
contenant . |
| |
- Lateralement a gauche et a droite est
image claire de la petite lame de graisse de la
paroi de l'abdomen , . en dedans est le peritoine .
Entre le peritoine et le colon descenant , ascendant
est gouttiere parieto-colique |
| |
|
| |
 |
|
| 1 Coupole diaphragmatique Dt |
| 2 Colonne vertebrale |
| 3 Gas dans gros tuberosite de
estomac |
| 4 Gaz situe dans l'angle colique
gauche |
| 5 Gaz du colon transverse |
| 6 Gaz du colon Sigmoide |
| 7 Saccrum |
| 8 Crete iliaque |
| 9 Tete femorale |
| 10 Gaz situe dans angle colique
droit |
| 11 Bord de silhouette de psoas |
| 12 Sombre du foie et rein droit |
| 13 onzieme cote |
| 14 Ligne graisseuse de la paroi de
abdomen |
|
| |
Cliche ASP en face debout : Le
cliche reussite doit etre ananlyse complete
les deux coupoles diapragmatiques en haut et la
sympyse pubienne a inferieure . La penetration ( Kv,
mAs ) soit suffisament pour le plus possible des
differences organes ( reins , foie , deux psoas et
images gazeuse de estom et colon ) |
|
|
| |
 |
|
 |
|
| |
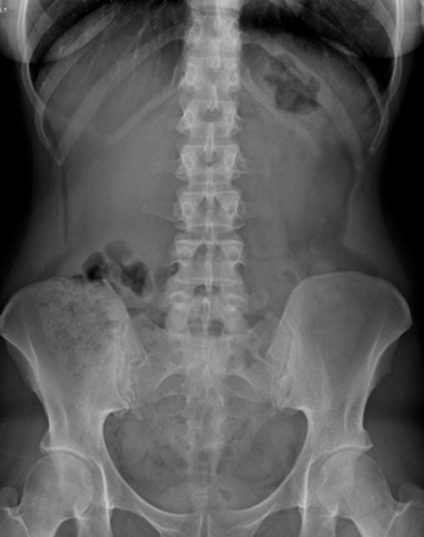
ASP en face debout : Image
hydro-aerique de la poche gastrique en se voyait sur
1/4 superieure gauche de l'abdomen . A 1/4
inferieure droit de l'abdomen c'est image de gaz
dans colon descadant et ceacum . Lateralement de
l'abdomen c'est deux lame claire de graisseuse de la
paroi de l'abdomen . |
|
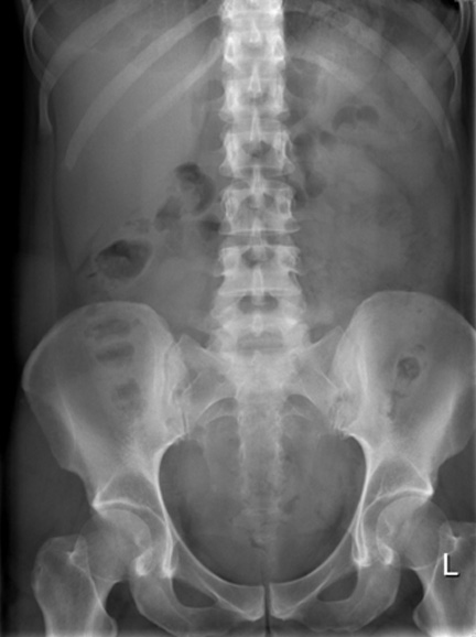
ASP en face couche :
L'ombre du foie est en vue a la region sous
phrenique droit . Image de gaz dans colon ascendant
, colon transverse et de l'estomac se voyait si net
. La diference du cliche ASP de face e st aspect
arondie du |
|
| |
 |
|
 |
| |
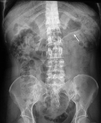
Image aerique de l'estomac en
se voyait tres claire . Cliche ÁP de face en
decubilus dorsale |
|
Image typique hydro-aerique
de l'estomac se voyait net su r cliche de face
debout . Image radiologique ÁP de face debout |
| |
 |
|
 |
| |
Image distention aerique de
l'estoma surexpose au desus colon transverse
.Ligament gastro colique en vue tres net |
|
Aspect de l'intestin
grele normale ,en distention aerique legere et
inportant . Cliche ASP de face |
Gs BuiBinhTho
<< BACK << >>
NEXT
Page :
1
/
2
/
3
/
4
/
5
/
6
/
7
|
|