Felts Field, SpokaneSites & Information
ARTICLES
PHOTOGALLERY
MEMORABILIA
FELTS FIELD
ACKNOWLEDGEMENTS
HOME
AirNav Information on Felts Field Airport
Felts Field Air Field Diagram, 1997
Felts Field in 1929
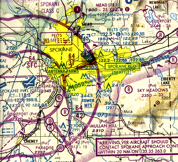
Felts Field on Aeronautical Chart
Felts Field Terminal Building (1971)
Felts Field, Washington
The History of Felts Field (by Jerry Turner)
Mamer Clock at Felts Field (close-up)
Mamer Clock at Felts Field (with C.E. Smith)