Descendants of Strong
Generation No. 1
1. GEORGE1 STRONG1,2 was born Abt. 1553 in Chard, County Somerset, England3, and died Bet. 1634 - 1635 in Chard, County Somerset, England3,4. He married <UNNAMED>4. She died Aft. 15794.
Notes for GEORGE STRONG:
[Gino Pagotto and MFB Strong, Strong Family Association of America, Incorporated 1979 - located at http://www.geocities.com/Heartland/Prairie/4715/ as of 24 Oct 2006, http://www.geocities.com/sfaapage/eldjohn.html.]
GEORGE STRONGE - Tailor - D. 1635, Chard, Somerset, England. M. Unknown, D. aft. 1579.
Manor Court Rolls - Chardstock
Sept. 1596 - Paying homage to the manor court.
May 3, 1604 - George Strang - Assessor to view commons
July 13, 1604 - "The water in George Stronge's ditch is not able to pass but run out in the way and he must scower the same."
1629 - "We do present George Stronge for that he dothe sell fuell furses in the commons and carry them into another parish and burn them contrary to the customs of the our manor, therefore he is fined ten shillings; and that George Stronge hath pulled downe a barne builded upon posts upon his cottage and carryed the tymber into another manor and hath also rooted upp certayne apple trees growing uppon his said cottage and carryed the same out of the manor".
1631, 1632, 1633 - Fined for not cleaning his ditch.
May 20, 1635 - Presentment of the death of George Stronge since the previous court and that he was tenant of TWO COTTAGES in Chardstock towne, to which Thomas Stronge was thereupon admitted as the next tenant. [Robin Bush, pub. By M&J Clearinghouse]
1636 - "That George Stronge, tenant since the last court to the cottage in Chardstock town and doth happen to the lord for a death duty, and that Thomas Strong is the next tenant".
Manor Court Rolls - Chard
1614 Manor Court Jury
1625-1628 Subsidy (DD/HT 465, Somerset Record Office)
George Stronge in Chardland
1628/29 George Stronge in Chardland.
Will of George Stronge of Chard dated, 20 Nov. 1627, proved 13 Feb. 1635/36, (PCC1636, Pile 15)
I George Strong of the parishe of Chard....tayler.... I give unto THOMAS STRONG MY SONNE 6 shillings 8 pence. I give unto JOHN STRONGE MY GRANDCHILD, 6 shillings 8 pence. I give unto WILLIAM STRONG MY GRANDCHILD, 20 poundes due to me from George Cookney and Nicholas Staple.... I give unto the said William Strong ffive pewter platters, two pondgers, one bason, ffower sawcers, two saltsellers, and two brasse candelsticke. I give unto MARIE STRONG MY GRANDCHILD DAUGHTER of WALTER STRONG MY SONNE, 10 poundes which Thomas Parris oweth me....and more I give her my best brasse crocke, and my lesser brasse pann. I give unto JOANE STRONG, DAUGHTER of the said WALTER STRONG, 10 poundes. I give unto ELIZABETH STRONG, DAUGHTER of the said WALTER STRONG, 10 poundes. I give and bequeath unto my said SON WALTER STRONG whome I make, and ordayne sole executor of this my last will and testement. I desire MY GOOD FRIENDS THOMAS LEGG THE YOUNGER and THOMAS BOWDITCH OF WICKCRAST to be my overseers. Witnesses - Thomas Pitte, Sir John Rives, Richard Ray, THOMAS BURRAGE. [Abstracted by J. Osborn]
Ancestral File Number: 2475-P6L
Marriage Notes for GEORGE STRONG and <UNNAMED>:
[Gino Pagotto and MFB Strong, Strong Family Association of America, Incorporated 1979 - located at http://www.geocities.com/Heartland/Prairie/4715/ as of 24 Oct 2006, http://www.geocities.com/sfaapage/eldjohn.html.]
GEORGE STRONGE - Children
1. Thomas Stronge - Tailor - Bur. 12 May 1663,
Chardstock, Devon, England. M. 12 May 1604, Chardstock, Devon, Eng., Joanna
Bagge, bur. 26 Aug. 1657, Chardstock, Devon, Eng..
Children
1. Maria Stronge - Bpt. 29 June 1604, Chardstock, Devon, Eng.
2. Elizabeth Stronge -
3. Bpt. 3 Dec. 1606, Chardstock, Devon, Eng. Lavinia Stronge
- Bpt. 17 March 1608, Chardstock, Devon, Eng.
A daughter bur. 10 June 1609, Chardstock, Devon, Eng., probably one of
the above, since three daughters mentioned in the will of John Stronge, 1612.
4. Jane Stronge
- Bpt. 20 Mar. 1610, Chardstock, Devon, Eng.
5. Sarah Stronge
- Bpt. 20 June 1613, Chardstock, Devon, Eng. M. ______Matthews.
Children
i. James Matthews - alive 1694.
ii. Jeremy Matthews - alive 1694.
6. REV. JAMES STRONGE and his descendants
2. JOHN STRONGE - D. 1612, bur. 13 July 1612, Chard, Somerset, Eng.. M. Uknown,
1609, Chard, Somerset, England. She pos. m. 2) William Cogan, father of Eleanor
Cogan, wife of Walter Deane.
Will of John Stronge of Chard, Proved 22 Sept.
1612
Where as the said John Stronge lieth sick of body but of good and perfect
memory....to the poor of Chardland 4 shillings ....to the Church 2 shillings....
to MY SON JOHN STRONGE, 10 pounds...to MY CHILD THAT MY WIFE GOETH WITH all 10
pounds....If either of them die it shall remain to the other, until they be of
lawful year....To MY BROTHER THOMAS STRONG'S DAUGHTER, my godaughter, 2
shillings. I give THE OTHER TWO, 1 shilling each....I make my wife whole
executor of such goods as I have....I make my overseers My FATHER GEORGE STRONGE,
JOHN BOWRIDGE, WALTER STRONGE, JOHN WARRY.... Witnesess:HENRY WARRY
Children
a. ELDER JOHN STRONGE and four generations of his children.
b. Unknown - B. abt. 1613, Chard, Somerset, Eng.
3. Walter Stronge - Butcher - B. 1579, bpt. Apr. 17, 1681, Chardstock, Devon,
Eng. bur. 9 3Apr. 1667, Chard, Somerset, Eng. M. Feb. 1621, Chard, Devon, Eng.
Ann Bond, bur. 11 Sept. 1674, Chard, Somerset, Eng., dau. of John Bond, of
Forton, Chard, Somerset, Eng.
" Evidence given by Walter Strong of Chard, butcher, in a case of incontinence
on 19 Oct. 1619. Strong had lived in Chard for the past 20 years, was aged 40
(b.c.1579) and born in Chardstock, Dorset. (Diocesan Deposition, D/D/Cd 54).
Chancery Bills and Answers, Charles I, Warrey v. Bond W 14/32, dated 12 Feb.
1630 [31?], Robin Bush, pub. By M&J Clearinghouse
Plaintiff Agnes Warrey, widow of Richard Warrey, stated that John Bond the elder
of Chard, Somerset, deceased, had been 'estated' in four acres in Forton alias
Fordington in the parish of Chard for the lives of John Chubb, Richard Bond and
Alice Bond (the last two being children of the said Richard (? John) Bond, the
inheritance [ie. freehold] of the land belonging to the Deanery of Wells. John
Bond had conveyed the land to William Bond and Anne Stronge (daughter of the
said John Bond and wife of Walter Stronge), who had sold the same to the
plaintiff's husband. The said Richard Bond was defendant. [Robin Bush, pub. By
M&J Clearing house]
Children
1. Marie Strong - B. bef. 1628.
2. Elizabeth Strong
- B, bef, 1628.
3. Joane Strong
- B. bef. 1628.
4. George Strong
- Clothier - Bpt. 14 Oct. 1629, Chard, Somerset, Eng., bur. 23 May
1710, Chard, Somerset, Eng. M. Margaret _______, 1709, Chard, Somerset, Eng.
Children of GEORGE STRONG and <UNNAMED> are:
i. THOMAS2 STRONGE4, d. Bef. 12 May 1663, Chardstock, County Devon, England4.
2. ii. JOHN STRONGE, b. Abt. 1585, Chard, County Somerset, England; d. 14 Jun 1613, Chard, County Somerset, England.
iii. WALTER STRONGE4, b. 1579, Chardstock, County Devon, England4; d. Bef. 09 Apr 1667, Chard, County Somerset, England4.
More About WALTER STRONGE:
Baptism: 17 Apr 1581, Chardstock, County Devon, England4
Generation No. 2
2. JOHN2 STRONGE (GEORGE1 STRONG)5 was born Abt. 1585 in Chard, County Somerset, England5, and died 14 Jun 1613 in Chard, County Somerset, England5. He married <UNNAMED>6 1609 in Chard, County Somerset, England6. She died Unknown.
More About JOHN STRONGE:
Ancestral File Number: CPFM-PD
Burial: 14 Jun 1613, Chard, County Somerset, England7
More About JOHN STRONGE and <UNNAMED>:
Marriage: 1609, Chard, County Somerset, England8
Children of JOHN STRONGE and <UNNAMED> are:
3. i. ELDER JOHN3 STRONG, b. Abt. 1610, Chard, County Dorsetshire, England; d. 14 Apr 1699, Northampton, Hampshire County, Massachusetts.
ii. SARAH STRONG9, b. 16139; d. 06 Sep 1675, Northampton, Hampshire County, Massachusetts9.
More About SARAH STRONG:
Ancestral File Number: 8N42-J3
Christening: 29 Jun 1613, Chardstock, County Dorset, England9
iii. THOMAS STRONG9, b. Abt. 1615, Hingham, Plymouth County, Massachusetts9; d. Unknown.
More About THOMAS STRONG:
Ancestral File Number: 1TV6-57K
Generation No. 3
3. ELDER JOHN3 STRONG (JOHN2 STRONGE, GEORGE1 STRONG)10,11,12 was born Abt. 1610 in Chard, County Dorsetshire, England13,14, and died 14 Apr 1699 in Northampton, Hampshire County, Massachusetts15,16,17. He married (1) MARGERIE DEANE18,19,20,21 Abt. 1625 in County Somerset, England22, daughter of WILLIAM DEANE and <UNNAMED>. She was born Abt. 1606 in South Chard, County Somersetshire, England22, and died Abt. 1635 in Northampton, Hampshire County, Massachusetts22,23,24. He married (2) ABIGAIL FORD25,26,27 1636 in Dorchester, Suffolk County, Massachusetts28,29, daughter of THOMAS FORD and ELIZABETH CHARDE. She was born Bef. 08 Oct 1619 in Bridport, County Dorset, England30,31,32, and died 16 Jul 1688 in Northampton, Hampshire County, Massachusetts33,34.
Notes for ELDER JOHN STRONG:
[Gino Pagotto and MFB Strong, Strong Family Association of America, Incorporated 1979 - located at http://www.geocities.com/Heartland/Prairie/4715/ as of 24 Oct 2006, http://www.geocities.com/sfaapage/ejstrongne.html.]
ELDER JOHN STRONGE - Tanner - B. abt. 1610, Chard, Somerset Eng., d. 14 April 1699, Northampton, Ma. M. 1) bef. 1634, Margery Deane, dau. of William Deane, d. abt. 1635. 2) abt. 1635, Abigail Ford, dau. of Thomas Ford and Elizabeth Chard Cooke, bpt. 8 Oct. 1619, Bridport, Dorset, Eng., d. 16 July 1688, Northampton, Ma.. They are bur. Bridge Street Cemetery, Northampton, Ma.
Elder John and Margery came on the "Hopewell" 1635.
Abigail Ford came on the "Mary & John", 1630 with her family.
HINGHAM, MASSACHUSETTS:
Land granted, 18 September, 1635, for five acres of land on North Street near Ship Street, Hingham, Plymouth Colony, Massachusetts.
Freeman on 9 March 1636/37
TAUNTON, MASSACHUSETTS:
House lot on Dean Street west of John Dean house.
Freeman of Plymouth Colony 4 December 1638
First Constable, 1638 and 1639, juror 1645.
WINDSOR, CONNECTICUT:

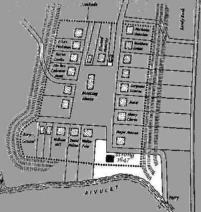
4 February 1647 - "Thomas Thorton al his land formerly recorded in figures is sold to Thomas Ford and John Strong where the particulars fully apperar…."
This included a house, out house, yards, orchards and gardens containing about two acres, more or less, bounded north and west by the land of Walter Fyler, south by the rivulet, on the east by the highways, and adjoining at the foot of the hill, in the great meadow, one acre and three quarters more or less bounded north by the land of John Mason and east by the land of William Hill [Windsor Register of Deeds]
Freeman 15 May 1654 of Connecticut.
NORTHAMPTON, MASSACHUSETTS:
John Strong was ordained and Elder of the church in 1663.
Lands -
14 October 1660 - John Strong bought from John Webb, a parcel of land lying in the Third square and bounded by land of Richard Lyman on the north and the highway on the south and on the sides bordering the land of David Wilton on the east by Samuel Allyn on the west - Seven acres .
John Strong bought another parcel from John Webb, a home lot bounded on the highway east and north and the mill trench on the west containing two acres. Part of this was given to his son Samuel.
John Strong bought another parcel from John Webb, which lies on the south side of Mill River and bounded by the highway east and west, the sides bordering the highway south and Mill River north containing - two acres.
15 October 1660 - Northampton granted to him several parcels of land including a tan yard which was bounded on the east and west by the highway, north by Ralph Hutchinson's land and the common land, and the meeting house hill on the south. John gave this to his son Ebenezer, on 15 December 1688.
The original tan yard contained one quarter acre. It was on King Street Brook a little north of Hampshire Marble Works. The town by vote directed all hides be taken to him to be tanned at his own price because of his reputation for honesty.
15 October 1660 - Northampton granted to him his home lot which was bounded on the highway north and Mill River on the south and bounded on the sides by the land of Capt. Aaron Cooke on the east and Alexander Edwards on the west. John Strong conveyed these parcels to John Webb 18 October 1660.
The home lot granted to him by Northampton on West Street was nearly opposite the Parson's Homestead. He sold it to John Webb, and purchased John Webb's home lot at the corner of Main and South Streets. The property remained in the family for 103 years.
Northampton granted John Strong another parcel of land in Manham Meadow which butts up on the Great River on the east and Mill River on the west containing four Six acres plus. John gave half of this lot to Ebenezer, 15 December 1688.
[Land records from "Strong Men and Strong Women" by Jeanne Waters Strong]
[Personal Note: Steven R. Lusk, 29 October 2006.]
The lineage of John Strong is further defined at the website http://www.geocities.com/sfaapage/ejstrongne.html.
Ancestral File Number: 8X16-TF
Burial: Apr 1699, Bridge Street Cemetery, Northampton, Hampshire County, Massachusetts35,36
Emigration: 1635, Arrived in America in the "Hopewell" with family at Hingham, Plymouth County, Massachusetts37
Individual Note: Fathered 18 children37
Naturalization: 09 Mar 1636/37, Freeman37
Nickname/Alt. First Name: Elder John Stronge37,38
Occupation: 1671, Juror in Windsor, Hartford County, Connecticut39
Residence 1: 1635, At Hingham, Plymouth County, Massachusetts39
Residence 2: 1638, Removed to Taunton, Bristol County, Massachusetts39
More About MARGERIE DEANE:
Ancestral File Number: 8VP8-DD
More About JOHN STRONG and MARGERIE DEANE:
Marriage: Abt. 1625, County Somerset, England40
More About ABIGAIL FORD:
Ancestral File Number: W7ZL-9F
Burial: Aft. 16 Jul 1688, Bridge Street Cemetery, Northampton, Hampshire County, Massachusetts40,41
Christening: 08 Oct 1619, Bridport, County Dorsetshire, England42,43
Marriage Notes for JOHN STRONG and ABIGAIL FORD:
[Gino Pagotto and MFB Strong, Strong Family
Association of America, Incorporated 1979 - located at http://www.geocities.com/Heartland/Prairie/4715/
as of 24 Oct 2006, http://www.geocities.com/sfaapage/ejstrongne.html.]
Children of Elder John Stronge: by Marjory Deane #1-2 / Abigail Ford #3-18
1. John Strong Jr - B. bef. 1634,
Chard, England
2. Child - D. 2 months old, 1635, Hingham, Massachusetts
3. Thomas Strong - B. c. 1636, Hingham, Massachusetts
4. Jedediah Strong - B. 7 May 1637, Hingham, Massachusetts, bpt.
14 Apr. 1639, Dorchester, Massachusetts.
5. Josiah Strong - D. young.
6. Return Strong - b. c. 1641, Taunton, Massachusetts.
7. Ebenezer Strong - b. c. 1643, Taunton, Massachusetts.
8. Abigail Strong - B. c. 1645, Taunton, Massachusetts.
9. Elizabeth Strong -B. 24 Feb. 1647, Windsor, Connecticut.
10. Experience Strong -Bpt. 4 Aug. 1650, Windsor, Connecticut.
11. Samuel Strong - (twin) B. 5 Aug. 1652, Windsor, Connecticut.
12. Joseph Strong - (twin) B. 5 Aug. 1652, Windsor, Connecticut,
d. young.
13. Mary Strong - B. 26 Oct. 1654, Windsor, Connecticut.
14. Sarah Strong - B. 1655, Windsor, Connecticut.
15. Hannah Strong - B. 20 May 1657, Windsor, Connecticut.
16. Hester Strong - B. 1 Jun. 1661, Northampton, Massachusetts
17. Thankful Strong - B. 25 Jun. 1663, Northampton, Massachusetts.
18. Jerijah Strong - B. 13 Dec. 1665, Northampton, Massachusetts.
Marriage: 1636, Dorchester, Suffolk County, Massachusetts44,45
Children of JOHN STRONG and MARGERIE DEANE are:
i. JOHN4 STRONG, JR.46,47, b. 26 Nov 1626, Chard, County Somerset, England48,49; d. 20 Feb 1697/98, Windsor, Hartford County, Connecticut50,51; m. (1) MARY CLARK51, 26 Nov 1656, Windsor, Hartford County, Connecticut51; b. Bef. 30 Sep 163851; d. 28 Apr 166351; m. (2) ELIZABETH WARRINER51, 166451; d. 07 Jun 168451; m. (3) HANNAH SMITH51, 02 Nov 168651; d. Unknown.
Notes for JOHN STRONG, JR.:
[Gino Pagotto and MFB Strong, Strong Family Association of America, Incorporated 1979 - located at http://www.geocities.com/Heartland/Prairie/4715/ as of 24 Oct 2006, http://www.geocities.com/sfaapage/john.html.]
2. JOHN STRONG, JR., s/o Elder John Strong #1, b. ca. 1633 Chard, Somerset, England, d. Feb 20, 1697/8 Windsor, CT, ml Nov 26, 1656 Windsor, MARY CLARK, d/o Joseph and France (Dewey) Clark of Windsor, CT, bap. Sep 30, 1638, d. Apr 28, 1663 m2 in 1664 ELIZABETH WARRINER who was admitted to the Windsor Church in Aug. 1666 , d. Jun 7, 1684, m3 Nov 2, 1686, HANNAH TRUMBLE nee SMITH of Suffield, d/o Hugh and Mary Smith of Rowley, of Rowley, MA, b. Mar 24, 1647, d. Mar 27, 1719 Windsor. After John died, she m3, Nicholas Buckland. John was the son of Elder John Strong and his first wife Margerie Deane. He was the only surviving child of this marriage born before Jul 22, 1634 when he was named with his mother in the will of his grandfather, William Deane of Southchard, Chard, Somerset, England. John was a tanner and spent his life in Windsor, CT. He was a man of prominence in the affairs of that city. His family was not mentioned in the will of Elder John Strong having received, along with his brother Return Strong the Tanneries in Windsor as his inheritance portion. The inventory of the estate of John Strong, was taken Feb 28, 1697/8; it names the children as John Strong, age 32, Jacob, 25; Josiah, 19; Mary Stanly, 40, and Hannah Hopkins, 36. The following month, two agreements were made by the heirs, the first relating to the dower of the widow Hannah Strong, who is called mother-in-law [stepmother] of the sons; the second, relating to distribution to the children, signed by John, Jacob and Josiah Strong, Return Strong, as the guardian of Josiah, and Timothy Stanley and John Hopkins. [Manwaring's Digest, l : 579.]
Ancestral File Number: 2W3V-DV
More About JOHN STRONG and MARY CLARK:
Marriage: 26 Nov 1656, Windsor, Hartford County, Connecticut51
More About JOHN STRONG and ELIZABETH WARRINER:
Marriage: 166451
More About JOHN STRONG and HANNAH SMITH:
Marriage: 02 Nov 168651
ii. STRONG52,53, b. Abt. 163553; d. 1635, Atlantic Ocean, At Sea54,55.
More About STRONG:
Ancestral File Number: 9N1Z-DT
Children of JOHN STRONG and ABIGAIL FORD are:
4. iii. JEDEDIAH4 STRONG, b. 07 May 1637, Hingham, Plymouth County, Massachusetts; d. 22 May 1733, Coventry, Tolland County, Connecticut.
5. iv. THOMAS STRONG, b. Abt. 1638, Hingham, Plymouth County, Massachusetts; d. 03 Oct 1689, Northampton, Hampshire County, Massachusetts.
v. JOSIAH STRONG56,57, b. 14 Apr 1639, Hingham, Plymouth County, Massachusetts58; d. Unknown, Young59.
More About JOSIAH STRONG:
Ancestral File Number: 50KG-T5
Burial: 172660
vi. RETURN STRONG60,61, b. 09 Apr 1640, Taunton, Bristol County, Massachusetts62,63; d. 11 Feb 1728/29, Northampton, Hampshire County, Massachusetts64.
More About RETURN STRONG:
Ancestral File Number: FWLX-HL
Burial: 172964
6. vii. DEACON EBENEZER STRONG, b. Abt. 1643, Taunton, Bristol County, Massachusetts; d. 11 Feb 1728/29, Northampton, Hampshire County, Massachusetts.
viii. ABIGAIL STRONG64,65, b. Abt. 1645, Taunton, Bristol County, Massachusetts66,67; d. 15 Apr 1704, Northampton, Hampshire County, Massachusetts68.
More About ABIGAIL STRONG:
Ancestral File Number: 50KG-XN
Burial: 170468
7. ix. ELIZABETH P. STRONG, b. 24 Feb 1647/48, Windsor, Hartford County, Connecticut; d. 11 May 1737, Northampton, Hampshire County, Massachusetts.
x. EXPERIENCE STRONG68,69, b. Bef. 04 Aug 1650, Windsor, Hartford County, Connecticut70,71; d. 20 Oct 1714, Windsor, Hartford County, Connecticut72.
More About EXPERIENCE STRONG:
Ancestral File Number: 50KH-00
Baptism: 04 Aug 1650, Windsor, Hartford County, Connecticut72,73
Burial: 171474
xi. JOSEPH STRONG74,75, b. 05 Aug 1652, Windsor, Hartford County, Connecticut76,77; d. 23 Dec 1662, Windsor, Hartford County, Connecticut78,79.
More About JOSEPH STRONG:
Ancestral File Number: FPHL-BM
Burial: 1662, Windsor, Hartford County, Connecticut80
xii. SAMUEL STRONG80,81, b. 05 Aug 1652, Windsor, Hartford County, Connecticut82,83; d. 29 Oct 1732, Northampton, Hampshire County, Massachusetts84.
More About SAMUEL STRONG:
Ancestral File Number: 4JFV-VM
Burial: 1732, Northampton, Hampshire County, Massachusetts84
xiii. MARY STRONG85,86,87, b. 26 Oct 1654, Windsor, Hartford County, Connecticut88,89; d. 08 Dec 1738, Northampton, Hampshire County, Massachusetts90; m. JOHN CLARK91, 20 Mar 1678/7991; d. Unknown.
More About MARY STRONG:
Ancestral File Number: 50KH-3H
Burial: 173892
More About JOHN CLARK and MARY STRONG:
Marriage: 20 Mar 1678/7993
xiv. SARAH STRONG94,95, b. 04 Mar 1655/56, Windsor, Hartford County, Connecticut96,97; d. 10 Feb 1732/33, Deerfield, Hampshire County, Massachusetts98.
More About SARAH STRONG:
Ancestral File Number: 50KH-4N
Burial: 1733, Old Burying Ground, Deerfield, Franklin County, Massachusetts98
xv. HANNAH STRONG98,99, b. 20 May 1657, Windsor, Hartford County, Connecticut100,101; d. 31 Jan 1693/94, Northampton, Hampshire County, Massachusetts102.
More About HANNAH STRONG:
Ancestral File Number: 37C4-C5
Burial: 1694102
Christening: 02 Sep 1660102
xvi. HESTER STRONG102,103, b. 01 Jun 1661, Northampton, Hampshire County, Massachusetts104,105; d. 04 Mar 1725/26, Windsor, Hartford County, Connecticut106.
More About HESTER STRONG:
Ancestral File Number: 50KH-5T
Burial: 1726106
xvii. THANKFUL STRONG107,108,109, b. 25 Jun 1663, Northampton, Hampshire County, Massachusetts110,111,112; d. 05 Mar 1725/26113; m. JONATHAN BALDWIN114, Abt. 1693114; d. Unknown.
More About THANKFUL STRONG:
Ancestral File Number: FWRW-2Q
More About JONATHAN BALDWIN and THANKFUL STRONG:
Marriage: Abt. 1693114
xviii. JERIJAH STRONG115,116, b. 13 Dec 1665, Northampton, Hampshire County, Massachusetts117,118; d. 24 Apr 1754, Northampton, Hampshire County, Massachusetts119.
More About JERIJAH STRONG:
Ancestral File Number: GG67-BQ
Burial: 1754119
Generation No. 4
4. JEDEDIAH4 STRONG (JOHN3, JOHN2 STRONGE, GEORGE1 STRONG)119,120 was born 07 May 1637 in Hingham, Plymouth County, Massachusetts121,122, and died 22 May 1733 in Coventry, Tolland County, Connecticut123. He married ABIGAIL BARTLETT123,124 28 Dec 1681 in Northampton, Hampshire County, Massachusetts125, daughter of ROBERT BARTLETT and MARY WARREN. She was born 06 Sep 1660 in of Northampton, Hampshire County, Massachusetts125, and died 10 Oct 1710 in of Northampton, Hampshire County, Massachusetts125.
More About JEDEDIAH STRONG:
Ancestral File Number: 3WNC-RH
Baptism: 14 Apr 1639, Dorchester, Suffolk County, Massachusetts125,126
Burial: 22 May 1733, Coventry, Tolland County, Connecticut127
More About ABIGAIL BARTLETT:
Ancestral File Number: 8GZM-LX
Burial: Oct 1710127
More About JEDEDIAH STRONG and ABIGAIL BARTLETT:
Marriage: 28 Dec 1681, Northampton, Hampshire County, Massachusetts127
Child of JEDEDIAH STRONG and ABIGAIL BARTLETT is:
i. MARY5 STRONG127, b. 1683, Northampton, Hampshire County, Massachusetts127; d. 17 Apr 1759, Westfield, Hampden County, Massachusetts127.
More About MARY STRONG:
Ancestral File Number: 4JFR-QJ
Christening: 20 Jan 1711/12, Westfield, Hampden County, Massachusetts127
5. THOMAS4 STRONG (JOHN3, JOHN2 STRONGE, GEORGE1 STRONG)128,129,130 was born Abt. 1638 in Hingham, Plymouth County, Massachusetts131,132, and died 03 Oct 1689 in Northampton, Hampshire County, Massachusetts133. He married MARY HEWITT133 05 Dec 1660 in Northampton, Hampshire County, Massachusetts133, daughter of EPHRAIM HEWETT and ISABEL OVERTON. She was born 02 Aug 1640 in Dorchester, Suffolk County, Massachusetts133, and died 20 Feb 1670/71 in Northampton, Hampshire County, Massachusetts133.
More About THOMAS STRONG:
Ancestral File Number: 2475-M3M or 3XZ6-T5
More About MARY HEWITT:
Ancestral File Number: 8NT3-5H
More About THOMAS STRONG and MARY HEWITT:
Marriage: 05 Dec 1660, Northampton, Hampshire County, Massachusetts133
Children of THOMAS STRONG and MARY HEWITT are:
i. DEACON THOMAS5 STRONG134,135, b. 16 Nov 1661, Northampton, Hampshire County, Massachusetts135; d. 1708, Durham, Middlesex County, Connecticut135; m. MARY STEBBINS136; b. 10 Sep 1666136; d. WFT Est. 1667-1760136.
More About DEACON THOMAS STRONG:
Ancestral File Number: 84TR-55
Burial: Unknown, Durham, Middlesex County, Connecticut137
ii. MARIA STRONG137, b. 31 Aug 1663, Northampton, Hampshire County, Massachusetts137; d. 18 May 1751, Northampton, Hampshire County, Massachusetts137.
More About MARIA STRONG:
Ancestral File Number: 84TS-8S
iii. JOHN STRONG137, b. 03 Mar 1663/64, Northampton, Hampshire County, Massachusetts137; d. 21 May 1699, Deerfield, Franklin County, Massachusetts137.
More About JOHN STRONG:
Ancestral File Number: 84TS-90
iv. HEWETT STRONG137, b. 02 Dec 1666, Northampton, Hampshire County, Massachusetts137; d. 29 Sep 1689137.
More About HEWETT STRONG:
Ancestral File Number: 84TS-B5
v. ASAHEL STRONG137, b. 14 Nov 1668, Northampton, Hampshire County, Massachusetts137; d. 08 Oct 1739, Farmington, Hartford County, Connecticut137.
More About ASAHEL STRONG:
Ancestral File Number: 84TS-CB
6. DEACON EBENEZER4 STRONG (JOHN3, JOHN2 STRONGE, GEORGE1 STRONG)138,139,140 was born Abt. 1643 in Taunton, Bristol County, Massachusetts141,142,143, and died 11 Feb 1728/29 in Northampton, Hampshire County, Massachusetts144,145. He married (1) ABIGAIL SHARP145 1668 in Dorchester, Suffolk County, Massachusetts145, daughter of ROBERT SHARPE and ABIGAIL WRIGHT. She was born 1647 in Dorchester, Suffolk County, Massachusetts145, and died 18 May 1712 in Milton, Norfolk County, Massachusetts145. He married (2) HANNAH CLAPP146,147 14 Oct 1668 in Northampton, Hampshire County, Massachusetts148,149, daughter of NICHOLAS CLAPP and SARAH CLAPP. She was born 20 Sep 1646 in Dorchester, Suffolk County, Massachusetts150,151, and died Bef. 1729 in Northampton, Hampshire County, Massachusetts151.
More About DEACON EBENEZER STRONG:
Ancestral File Number: 4HWR-XX
Burial: Feb 1728/29151
Naturalization: 08 Feb 1678/79, Freeman152
More About ABIGAIL SHARP:
Ancestral File Number: 8NT3-20
Burial: Unknown, Milton Cemetery, Milton, Norfolk County, Massachusetts153
Individual Note: 1668, A widow153
More About EBENEZER STRONG and ABIGAIL SHARP:
Marriage: 1668, Dorchester, Suffolk County, Massachusetts153
More About HANNAH CLAPP:
Ancestral File Number: C6S7-7F
Christening: 20 Sep 1646, Dorchester, Suffolk County, Massachusetts153
More About EBENEZER STRONG and HANNAH CLAPP:
Marriage: 14 Oct 1668, Northampton, Hampshire County, Massachusetts154,155
Children of EBENEZER STRONG and HANNAH CLAPP are:
i. HANNAH5 STRONG156,157, b. 07 Oct 1669, Northampton, Hampshire County, Massachusetts157,158; d. 29 Nov 1691, Northampton, Hampshire County, Massachusetts159; m. EBENEZER POMEROY159,160, 04 Mar 1690/91, Northampton, Hampshire County, Massachusetts161; b. 30 May 1669, Northampton, Hampshire County, Massachusetts161; d. 27 Jan 1754, Northampton, Hampshire County, Massachusetts161.
More About HANNAH STRONG:
Ancestral File Number: G3RD-6Q
More About EBENEZER POMEROY:
Ancestral File Number: 8J43-D8
More About EBENEZER POMEROY and HANNAH STRONG:
Marriage: 04 Mar 1690/91, Northampton, Hampshire County, Massachusetts161
ii. EBENEZER STRONG162,163, b. 02 Aug 1671, Northampton, Hampshire County, Massachusetts163,164; d. 12 Nov 1729, Northampton, Hampshire County, Massachusetts165.
More About EBENEZER STRONG:
Ancestral File Number: C7RD-NB
8. iii. NATHANIEL STRONG, b. Bet. 24 - 25 Sep 1673, Northampton, Hampshire County, Massachusetts; d. Bet. Oct 1750 - 1760, Northampton, Hampshire County, Massachusetts.
iv. SARAH STRONG166,167, b. 29 Sep 1675, Northampton, Hampshire County, Massachusetts167,168; d. 19 Dec 1675, Northampton, Hampshire County, Massachusetts169.
More About SARAH STRONG:
Ancestral File Number: G3RD-83
v. PRESERVED STRONG169,170, b. Sep 1679, Northampton, Hampshire County, Massachusetts171,172; d. 11 Aug 1680, Northampton, Hampshire County, Massachusetts173.
More About PRESERVED STRONG:
Ancestral File Number: G3RD-98 or LSJX-1X
vi. SARAH STRONG174,175, b. 29 Sep 1681, Northampton, Hampshire County, Massachusetts175,176; d. 17 Dec 1701, Springfield, Hampden County, Massachusetts177.
More About SARAH STRONG:
Ancestral File Number: 8VNN-M5
vii. JONATHAN STRONG178,179, b. 01 May 1683, Northampton, Hampshire County, Massachusetts179,180; d. 10 Dec 1766, Northampton, Hampshire County, Massachusetts181.
More About JONATHAN STRONG:
Ancestral File Number: 4HWR-R3
Burial: Dec 1766181
viii. NOAH STRONG181, b. 18 Oct 1684, Northampton, Hampshire County, Massachusetts181; d. 24 Aug 1699, Northampton, Hampshire County, Massachusetts181.
More About NOAH STRONG:
Ancestral File Number: G3RD-CL
ix. STRONG181, b. 03 Oct 1689, Northampton, Hampshire County, Massachusetts181; d. 03 Oct 1689, Northampton, Hampshire County, Massachusetts181.
More About STRONG:
Ancestral File Number: G3RD-DR
7. ELIZABETH P.4 STRONG (JOHN3, JOHN2 STRONGE, GEORGE1 STRONG)181,182 was born 24 Feb 1647/48 in Windsor, Hartford County, Connecticut183,184, and died 11 May 1737 in Northampton, Hampshire County, Massachusetts185. She married JOSEPH PARSONS185,186 17 Mar 1668/69 in Northampton, Hampshire County, Massachusetts187, son of JOSEPH PARSONS and MARY BLISS. He was born 01 Nov 1647 in Springfield, Hampden County, Massachusetts188,189, and died 29 Nov 1729 in Northampton, Hampshire County, Massachusetts189.
More About ELIZABETH P. STRONG:
Ancestral File Number: 3GZZ-F9
Burial: 1737, Bridge Street Cemetery, Northampton, Hampshire County, Massachusetts189
Christening: 24 Aug 1648, Windsor, Hartford County, Connecticut189
More About JOSEPH PARSONS:
Ancestral File Number: 3GZZ-D4
Burial: Unknown, Bridge Street Cemetery, Northampton, Hampshire County, Massachusetts189
More About JOSEPH PARSONS and ELIZABETH STRONG:
Marriage: 17 Mar 1668/69, Northampton, Hampshire County, Massachusetts189
Children of ELIZABETH STRONG and JOSEPH PARSONS are:
i. JOSEPH5 PARSONS, b. 11 Jan 1671/72, Northampton, Hampshire County, Massachusetts; d. 13 Mar 1739/40, Salisbury, Essex County, Massachusetts.
ii. JOHN PARSONS, b. 11 Jan 1672/73, Northampton, Hampshire County, Massachusetts; d. 04 Sep 1746, Northampton, Hampshire County, Massachusetts.
iii. EBENEZER PARSONS, b. 31 Dec 1675, Northampton, Hampshire County, Massachusetts; d. 01 Jul 1744, Northampton, Hampshire County, Massachusetts.
iv. ELIZABETH PARSONS, b. 03 Feb 1677/78, Northampton, Hampshire County, Massachusetts; d. 17 Apr 1763, Northampton, Hampshire County, Massachusetts.
v. DAVID PARSONS, b. 03 Feb 1679/80, Northampton, Hampshire County, Massachusetts; d. 12 Oct 1743, Leicester, Worcester County, Massachusetts.
vi. JOSIAH PARSONS, b. 02 Jan 1681/82, Northampton, Hampshire County, Massachusetts; d. 12 Apr 1768, Northampton, Hampshire County, Massachusetts.
vii. PARSONS, b. 15 Aug 1683, Northampton, Hampshire County, Massachusetts; d. 15 Aug 1683.
viii. DANIEL PARSONS, b. 18 Aug 1685, Northampton, Hampshire County, Massachusetts; d. 27 Jan 1774, Springfield, Hamden County, Massachusetts.
ix. MOSES PARSONS, b. 15 Jan 1686/87, Northampton, Hampshire County, Massachusetts; d. 25 Sep 1754, Northampton, Hampshire County, Massachusetts.
x. ABIGAIL PARSONS, b. 01 Jan 1688/89, Northampton, Hampshire County, Massachusetts; d. 17 Aug 1763, Northampton, Hampshire County, Massachusetts.
xi. NOAH PARSONS, b. 15 Aug 1692, Northampton, Hampshire County, Massachusetts; d. 27 Oct 1779, Northampton, Hampshire County, Massachusetts.
Generation No. 5
8. NATHANIEL5 STRONG (EBENEZER4, JOHN3, JOHN2 STRONGE, GEORGE1 STRONG)190,191 was born Bet. 24 - 25 Sep 1673 in Northampton, Hampshire County, Massachusetts191,192, and died Bet. Oct 1750 - 1760 in Northampton, Hampshire County, Massachusetts193,194. He married REBECCA STEBBINS194,195 1697 in Northampton, Hampshire County, Massachusetts196,197, daughter of JOHN STEBBINS and ABIGAIL BARTLETT. She was born 20 Feb 1675/76 in Northampton, Hampshire County, Massachusetts197,198, and died 08 May 1712 in Northampton, Hampshire County, Massachusetts199,200.
More About NATHANIEL STRONG:
Ancestral File Number: 3DWB-3L
More About REBECCA STEBBINS:
Ancestral File Number: 3DWB-4R
Christening: 26 Feb 1675/76, Northampton, Hampshire County, Massachusetts201
More About NATHANIEL STRONG and REBECCA STEBBINS:
Marriage: 1697, Northampton, Hampshire County, Massachusetts202,203
Children of NATHANIEL STRONG and REBECCA STEBBINS are:
i. NATHANIEL6 STRONG203, b. May 1698, Northampton, Hampshire County, Massachusetts203; d. 13 Jul 1781, Northampton, Hampshire County, Massachusetts203.
More About NATHANIEL STRONG:
Ancestral File Number: 8J6C-MR
ii. REBECCA STRONG203, b. 07 Dec 1701, Northampton, Hampshire County, Massachusetts203; d. Unknown.
More About REBECCA STRONG:
Ancestral File Number: 3DWD-7K
iii. HANNAH STRONG203, b. 29 Jul 1704, Northampton, Hampshire County, Massachusetts203; d. 21 Oct 1776203.
More About HANNAH STRONG:
Ancestral File Number: 84TS-3X
iv. RELY STRONG203, b. 18 Feb 1707/08, Northampton, Hampshire County, Massachusetts203; d. 1708203.
More About RELY STRONG:
Ancestral File Number: 3DWD-9W
v. NOAH STRONG203, b. 20 Jul 1709, Northampton, Hampshire County, Massachusetts203; d. 04 Jun 1783203.
More About NOAH STRONG:
Ancestral File Number: 3DWD-B3
9. vi. MARGARET STRONG, b. 1711, Belchertown or Hatfield, Hampshire County, Massachusetts; d. 1769.
Generation No. 6
9. MARGARET6 STRONG (NATHANIEL5, EBENEZER4, JOHN3, JOHN2 STRONGE, GEORGE1 STRONG)204,205 was born 1711 in Belchertown or Hatfield, Hampshire County, Massachusetts205,206, and died 1769206. She married JONATHAN GRAVES II206 WFT Est. 1723-1752206, son of JONATHAN GRAVES and SARAH PARSONS. He was born 16 Mar 1701/02 in Hatfield, Hampshire County, Massachusetts206, and died 1787 in Belchertown, Hampshire County, Massachusetts206.
More About MARGARET STRONG:
Ancestral File Number: 3DWD-C8
More About JONATHAN GRAVES and MARGARET STRONG:
Marriage: WFT Est. 1723-1752206
Child of MARGARET STRONG and JONATHAN GRAVES is:
i. JOSEPH7 GRAVES, b. Sep 1735, Belchertown, Hampshire County, Massachusetts; d. Abt. 17 Apr 1796, Belchertown, Hampshire County, Massachusetts.
Endnotes
1. The Church of Jesus Christ of Latter-day Saints, Ancestral File (R), (Copyright (c) 1987, June 1998, data as of 5 January 1998), "Electronic."
2. Gino Pagotto and MFB Strong, Strong Family Association of America, Incorporated 1979 - located at http://www.geocities.com/Heartland/Prairie/4715/ as of 24 Oct 2006, http://www.geocities.com/sfaapage/eldjohn.html.
3. The Church of Jesus Christ of Latter-day Saints, Ancestral File (R), (Copyright (c) 1987, June 1998, data as of 5 January 1998), "Electronic."
4. Gino Pagotto and MFB Strong, Strong Family Association of America, Incorporated 1979 - located at http://www.geocities.com/Heartland/Prairie/4715/ as of 24 Oct 2006, http://www.geocities.com/sfaapage/eldjohn.html.
5. The Church of Jesus Christ of Latter-day Saints, Ancestral File (R), (Copyright (c) 1987, June 1998, data as of 5 January 1998), "Electronic."
6. Gino Pagotto and MFB Strong, Strong Family Association of America, Incorporated 1979 - located at http://www.geocities.com/Heartland/Prairie/4715/ as of 24 Oct 2006, http://www.geocities.com/sfaapage/eldjohn.html.
7. The Church of Jesus Christ of Latter-day Saints, Ancestral File (R), (Copyright (c) 1987, June 1998, data as of 5 January 1998), "Electronic."
8. Gino Pagotto and MFB Strong, Strong Family Association of America, Incorporated 1979 - located at http://www.geocities.com/Heartland/Prairie/4715/ as of 24 Oct 2006, http://www.geocities.com/sfaapage/eldjohn.html.
9. The Church of Jesus Christ of Latter-day Saints, Ancestral File (R), (Copyright (c) 1987, June 1998, data as of 5 January 1998), "Electronic."
10. Susan B. Stavropoulos, v10t0507.FTW, (World Family Tree submission Volume 10 Tree 0507), "CD-ROM," Date of Import: Dec 25, 2000.
11. The Church of Jesus Christ of Latter-day Saints, Ancestral File (R), (Copyright (c) 1987, June 1998, data as of 5 January 1998), "Electronic."
12. Gino Pagotto and MFB Strong, Strong Family Association of America, Incorporated 1979 - located at http://www.geocities.com/Heartland/Prairie/4715/ as of 24 Oct 2006, http://www.geocities.com/sfaapage/eldjohn.html.
13. The Church of Jesus Christ of Latter-day Saints, Ancestral File (R), (Copyright (c) 1987, June 1998, data as of 5 January 1998), "Electronic."
14. Gino Pagotto and MFB Strong, Strong Family Association of America, Incorporated 1979 - located at http://www.geocities.com/Heartland/Prairie/4715/ as of 24 Oct 2006, http://www.geocities.com/sfaapage/eldjohn.html.
15. Susan B. Stavropoulos, v10t0507.FTW, (World Family Tree submission Volume 10 Tree 0507), "CD-ROM," Date of Import: Dec 25, 2000.
16. The Church of Jesus Christ of Latter-day Saints, Ancestral File (R), (Copyright (c) 1987, June 1998, data as of 5 January 1998), "Electronic."
17. Gino Pagotto and MFB Strong, Strong Family Association of America, Incorporated 1979 - located at http://www.geocities.com/Heartland/Prairie/4715/ as of 24 Oct 2006, http://www.geocities.com/sfaapage/ejstrongne.html.
18. Susan B. Stavropoulos, v10t0507.FTW, (World Family Tree submission Volume 10 Tree 0507), "CD-ROM," Date of Import: Dec 25, 2000.
19. The Church of Jesus Christ of Latter-day Saints, Ancestral File (R), (Copyright (c) 1987, June 1998, data as of 5 January 1998), "Electronic."
20. Gino Pagotto and MFB Strong, Strong Family Association of America, Incorporated 1979 - located at http://www.geocities.com/Heartland/Prairie/4715/ as of 24 Oct 2006, http://www.geocities.com/sfaapage/ejstrongne.html.
21. Stephen M. Lawson, Freeman Family Lines, http://kinnexions.com/smlawson, http://kinnexions.com/ancestries/strong.htm.
22. The Church of Jesus Christ of Latter-day Saints, Ancestral File (R), (Copyright (c) 1987, June 1998, data as of 5 January 1998), "Electronic."
23. Gino Pagotto and MFB Strong, Strong Family Association of America, Incorporated 1979 - located at http://www.geocities.com/Heartland/Prairie/4715/ as of 24 Oct 2006, http://www.geocities.com/sfaapage/ejstrongne.html.
24. Stephen M. Lawson, Freeman Family Lines, http://kinnexions.com/smlawson, http://kinnexions.com/ancestries/strong.htm.
25. Susan B. Stavropoulos, v10t0507.FTW, (World Family Tree submission Volume 10 Tree 0507), "CD-ROM," Date of Import: Dec 25, 2000.
26. The Church of Jesus Christ of Latter-day Saints, Ancestral File (R), (Copyright (c) 1987, June 1998, data as of 5 January 1998), "Electronic."
27. Gino Pagotto and MFB Strong, Strong Family Association of America, Incorporated 1979 - located at http://www.geocities.com/Heartland/Prairie/4715/ as of 24 Oct 2006, http://www.geocities.com/sfaapage/ejstrongne.html.
28. The Church of Jesus Christ of Latter-day Saints, Ancestral File (R), (Copyright (c) 1987, June 1998, data as of 5 January 1998), "Electronic."
29. Gino Pagotto and MFB Strong, Strong Family Association of America, Incorporated 1979 - located at http://www.geocities.com/Heartland/Prairie/4715/ as of 24 Oct 2006, http://www.geocities.com/sfaapage/ejstrongne.html.
30. Susan B. Stavropoulos, v10t0507.FTW, (World Family Tree submission Volume 10 Tree 0507), "CD-ROM," Date of Import: Dec 25, 2000.
31. The Church of Jesus Christ of Latter-day Saints, Ancestral File (R), (Copyright (c) 1987, June 1998, data as of 5 January 1998), "Electronic."
32. Gino Pagotto and MFB Strong, Strong Family Association of America, Incorporated 1979 - located at http://www.geocities.com/Heartland/Prairie/4715/ as of 24 Oct 2006, http://www.geocities.com/sfaapage/ejstrongne.html.
33. The Church of Jesus Christ of Latter-day Saints, Ancestral File (R), (Copyright (c) 1987, June 1998, data as of 5 January 1998), "Electronic."
34. Gino Pagotto and MFB Strong, Strong Family Association of America, Incorporated 1979 - located at http://www.geocities.com/Heartland/Prairie/4715/ as of 24 Oct 2006, http://www.geocities.com/sfaapage/ejstrongne.html.
35. The Church of Jesus Christ of Latter-day Saints, Ancestral File (R), (Copyright (c) 1987, June 1998, data as of 5 January 1998), "Electronic."
36. Gino Pagotto and MFB Strong, Strong Family Association of America, Incorporated 1979 - located at http://www.geocities.com/Heartland/Prairie/4715/ as of 24 Oct 2006, http://www.geocities.com/sfaapage/ejstrongne.html.
37. Susan B. Stavropoulos, v10t0507.FTW, (World Family Tree submission Volume 10 Tree 0507), "CD-ROM," Date of Import: Dec 25, 2000.
38. Gino Pagotto and MFB Strong, Strong Family Association of America, Incorporated 1979 - located at http://www.geocities.com/Heartland/Prairie/4715/ as of 24 Oct 2006, http://www.geocities.com/sfaapage/eldjohn.html.
39. Susan B. Stavropoulos, v10t0507.FTW, (World Family Tree submission Volume 10 Tree 0507), "CD-ROM," Date of Import: Dec 25, 2000.
40. The Church of Jesus Christ of Latter-day Saints, Ancestral File (R), (Copyright (c) 1987, June 1998, data as of 5 January 1998), "Electronic."
41. Gino Pagotto and MFB Strong, Strong Family Association of America, Incorporated 1979 - located at http://www.geocities.com/Heartland/Prairie/4715/ as of 24 Oct 2006, http://www.geocities.com/sfaapage/ejstrongne.html.
42. The Church of Jesus Christ of Latter-day Saints, Ancestral File (R), (Copyright (c) 1987, June 1998, data as of 5 January 1998), "Electronic."
43. Gino Pagotto and MFB Strong, Strong Family Association of America, Incorporated 1979 - located at http://www.geocities.com/Heartland/Prairie/4715/ as of 24 Oct 2006, http://www.geocities.com/sfaapage/ejstrongne.html.
44. The Church of Jesus Christ of Latter-day Saints, Ancestral File (R), (Copyright (c) 1987, June 1998, data as of 5 January 1998), "Electronic."
45. Gino Pagotto and MFB Strong, Strong Family Association of America, Incorporated 1979 - located at http://www.geocities.com/Heartland/Prairie/4715/ as of 24 Oct 2006, http://www.geocities.com/sfaapage/ejstrongne.html.
46. The Church of Jesus Christ of Latter-day Saints, Ancestral File (R), (Copyright (c) 1987, June 1998, data as of 5 January 1998), "Electronic."
47. Gino Pagotto and MFB Strong, Strong Family Association of America, Incorporated 1979 - located at http://www.geocities.com/Heartland/Prairie/4715/ as of 24 Oct 2006, http://www.geocities.com/sfaapage/ejstrongne.html.
48. The Church of Jesus Christ of Latter-day Saints, Ancestral File (R), (Copyright (c) 1987, June 1998, data as of 5 January 1998), "Electronic."
49. Gino Pagotto and MFB Strong, Strong Family Association of America, Incorporated 1979 - located at http://www.geocities.com/Heartland/Prairie/4715/ as of 24 Oct 2006, http://www.geocities.com/sfaapage/ejstrongne.html.
50. The Church of Jesus Christ of Latter-day Saints, Ancestral File (R), (Copyright (c) 1987, June 1998, data as of 5 January 1998), "Electronic."
51. Gino Pagotto and MFB Strong, Strong Family Association of America, Incorporated 1979 - located at http://www.geocities.com/Heartland/Prairie/4715/ as of 24 Oct 2006, http://www.geocities.com/sfaapage/john.html.
52. The Church of Jesus Christ of Latter-day Saints, Ancestral File (R), (Copyright (c) 1987, June 1998, data as of 5 January 1998), "Electronic."
53. Gino Pagotto and MFB Strong, Strong Family Association of America, Incorporated 1979 - located at http://www.geocities.com/Heartland/Prairie/4715/ as of 24 Oct 2006, http://www.geocities.com/sfaapage/ejstrongne.html.
54. The Church of Jesus Christ of Latter-day Saints, Ancestral File (R), (Copyright (c) 1987, June 1998, data as of 5 January 1998), "Electronic."
55. Gino Pagotto and MFB Strong, Strong Family Association of America, Incorporated 1979 - located at http://www.geocities.com/Heartland/Prairie/4715/ as of 24 Oct 2006, http://www.geocities.com/sfaapage/ejstrongne.html.
56. The Church of Jesus Christ of Latter-day Saints, Ancestral File (R), (Copyright (c) 1987, June 1998, data as of 5 January 1998), "Electronic."
57. Gino Pagotto and MFB Strong, Strong Family Association of America, Incorporated 1979 - located at http://www.geocities.com/Heartland/Prairie/4715/ as of 24 Oct 2006, http://www.geocities.com/sfaapage/ejstrongne.html.
58. The Church of Jesus Christ of Latter-day Saints, Ancestral File (R), (Copyright (c) 1987, June 1998, data as of 5 January 1998), "Electronic."
59. Gino Pagotto and MFB Strong, Strong Family Association of America, Incorporated 1979 - located at http://www.geocities.com/Heartland/Prairie/4715/ as of 24 Oct 2006, http://www.geocities.com/sfaapage/ejstrongne.html.
60. The Church of Jesus Christ of Latter-day Saints, Ancestral File (R), (Copyright (c) 1987, June 1998, data as of 5 January 1998), "Electronic."
61. Gino Pagotto and MFB Strong, Strong Family Association of America, Incorporated 1979 - located at http://www.geocities.com/Heartland/Prairie/4715/ as of 24 Oct 2006, http://www.geocities.com/sfaapage/ejstrongne.html.
62. The Church of Jesus Christ of Latter-day Saints, Ancestral File (R), (Copyright (c) 1987, June 1998, data as of 5 January 1998), "Electronic."
63. Gino Pagotto and MFB Strong, Strong Family Association of America, Incorporated 1979 - located at http://www.geocities.com/Heartland/Prairie/4715/ as of 24 Oct 2006, http://www.geocities.com/sfaapage/ejstrongne.html.
64. The Church of Jesus Christ of Latter-day Saints, Ancestral File (R), (Copyright (c) 1987, June 1998, data as of 5 January 1998), "Electronic."
65. Gino Pagotto and MFB Strong, Strong Family Association of America, Incorporated 1979 - located at http://www.geocities.com/Heartland/Prairie/4715/ as of 24 Oct 2006, http://www.geocities.com/sfaapage/ejstrongne.html.
66. The Church of Jesus Christ of Latter-day Saints, Ancestral File (R), (Copyright (c) 1987, June 1998, data as of 5 January 1998), "Electronic."
67. Gino Pagotto and MFB Strong, Strong Family Association of America, Incorporated 1979 - located at http://www.geocities.com/Heartland/Prairie/4715/ as of 24 Oct 2006, http://www.geocities.com/sfaapage/ejstrongne.html.
68. The Church of Jesus Christ of Latter-day Saints, Ancestral File (R), (Copyright (c) 1987, June 1998, data as of 5 January 1998), "Electronic."
69. Gino Pagotto and MFB Strong, Strong Family Association of America, Incorporated 1979 - located at http://www.geocities.com/Heartland/Prairie/4715/ as of 24 Oct 2006, http://www.geocities.com/sfaapage/ejstrongne.html.
70. The Church of Jesus Christ of Latter-day Saints, Ancestral File (R), (Copyright (c) 1987, June 1998, data as of 5 January 1998), "Electronic."
71. Gino Pagotto and MFB Strong, Strong Family Association of America, Incorporated 1979 - located at http://www.geocities.com/Heartland/Prairie/4715/ as of 24 Oct 2006, http://www.geocities.com/sfaapage/ejstrongne.html.
72. The Church of Jesus Christ of Latter-day Saints, Ancestral File (R), (Copyright (c) 1987, June 1998, data as of 5 January 1998), "Electronic."
73. Gino Pagotto and MFB Strong, Strong Family Association of America, Incorporated 1979 - located at http://www.geocities.com/Heartland/Prairie/4715/ as of 24 Oct 2006, http://www.geocities.com/sfaapage/ejstrongne.html.
74. The Church of Jesus Christ of Latter-day Saints, Ancestral File (R), (Copyright (c) 1987, June 1998, data as of 5 January 1998), "Electronic."
75. Gino Pagotto and MFB Strong, Strong Family Association of America, Incorporated 1979 - located at http://www.geocities.com/Heartland/Prairie/4715/ as of 24 Oct 2006, http://www.geocities.com/sfaapage/ejstrongne.html.
76. The Church of Jesus Christ of Latter-day Saints, Ancestral File (R), (Copyright (c) 1987, June 1998, data as of 5 January 1998), "Electronic."
77. Gino Pagotto and MFB Strong, Strong Family Association of America, Incorporated 1979 - located at http://www.geocities.com/Heartland/Prairie/4715/ as of 24 Oct 2006, http://www.geocities.com/sfaapage/ejstrongne.html.
78. The Church of Jesus Christ of Latter-day Saints, Ancestral File (R), (Copyright (c) 1987, June 1998, data as of 5 January 1998), "Electronic."
79. Gino Pagotto and MFB Strong, Strong Family Association of America, Incorporated 1979 - located at http://www.geocities.com/Heartland/Prairie/4715/ as of 24 Oct 2006, http://www.geocities.com/sfaapage/ejstrongne.html.
80. The Church of Jesus Christ of Latter-day Saints, Ancestral File (R), (Copyright (c) 1987, June 1998, data as of 5 January 1998), "Electronic."
81. Gino Pagotto and MFB Strong, Strong Family Association of America, Incorporated 1979 - located at http://www.geocities.com/Heartland/Prairie/4715/ as of 24 Oct 2006, http://www.geocities.com/sfaapage/ejstrongne.html.
82. The Church of Jesus Christ of Latter-day Saints, Ancestral File (R), (Copyright (c) 1987, June 1998, data as of 5 January 1998), "Electronic."
83. Gino Pagotto and MFB Strong, Strong Family Association of America, Incorporated 1979 - located at http://www.geocities.com/Heartland/Prairie/4715/ as of 24 Oct 2006, http://www.geocities.com/sfaapage/ejstrongne.html.
84. The Church of Jesus Christ of Latter-day Saints, Ancestral File (R), (Copyright (c) 1987, June 1998, data as of 5 January 1998), "Electronic."
85. Susan B. Stavropoulos, v10t0507.FTW, (World Family Tree submission Volume 10 Tree 0507), "CD-ROM," Date of Import: Dec 25, 2000.
86. The Church of Jesus Christ of Latter-day Saints, Ancestral File (R), (Copyright (c) 1987, June 1998, data as of 5 January 1998), "Electronic."
87. Gino Pagotto and MFB Strong, Strong Family Association of America, Incorporated 1979 - located at http://www.geocities.com/Heartland/Prairie/4715/ as of 24 Oct 2006, http://www.geocities.com/sfaapage/ejstrongne.html.
88. The Church of Jesus Christ of Latter-day Saints, Ancestral File (R), (Copyright (c) 1987, June 1998, data as of 5 January 1998), "Electronic."
89. Gino Pagotto and MFB Strong, Strong Family Association of America, Incorporated 1979 - located at http://www.geocities.com/Heartland/Prairie/4715/ as of 24 Oct 2006, http://www.geocities.com/sfaapage/ejstrongne.html.
90. The Church of Jesus Christ of Latter-day Saints, Ancestral File (R), (Copyright (c) 1987, June 1998, data as of 5 January 1998), "Electronic."
91. Susan B. Stavropoulos, v10t0507.FTW, (World Family Tree submission Volume 10 Tree 0507), "CD-ROM," Date of Import: Dec 25, 2000.
92. The Church of Jesus Christ of Latter-day Saints, Ancestral File (R), (Copyright (c) 1987, June 1998, data as of 5 January 1998), "Electronic."
93. Susan B. Stavropoulos, v10t0507.FTW, (World Family Tree submission Volume 10 Tree 0507), "CD-ROM," Date of Import: Dec 25, 2000.
94. The Church of Jesus Christ of Latter-day Saints, Ancestral File (R), (Copyright (c) 1987, June 1998, data as of 5 January 1998), "Electronic."
95. Gino Pagotto and MFB Strong, Strong Family Association of America, Incorporated 1979 - located at http://www.geocities.com/Heartland/Prairie/4715/ as of 24 Oct 2006, http://www.geocities.com/sfaapage/ejstrongne.html.
96. The Church of Jesus Christ of Latter-day Saints, Ancestral File (R), (Copyright (c) 1987, June 1998, data as of 5 January 1998), "Electronic."
97. Gino Pagotto and MFB Strong, Strong Family Association of America, Incorporated 1979 - located at http://www.geocities.com/Heartland/Prairie/4715/ as of 24 Oct 2006, http://www.geocities.com/sfaapage/ejstrongne.html.
98. The Church of Jesus Christ of Latter-day Saints, Ancestral File (R), (Copyright (c) 1987, June 1998, data as of 5 January 1998), "Electronic."
99. Gino Pagotto and MFB Strong, Strong Family Association of America, Incorporated 1979 - located at http://www.geocities.com/Heartland/Prairie/4715/ as of 24 Oct 2006, http://www.geocities.com/sfaapage/ejstrongne.html.
100. The Church of Jesus Christ of Latter-day Saints, Ancestral File (R), (Copyright (c) 1987, June 1998, data as of 5 January 1998), "Electronic."
101. Gino Pagotto and MFB Strong, Strong Family Association of America, Incorporated 1979 - located at http://www.geocities.com/Heartland/Prairie/4715/ as of 24 Oct 2006, http://www.geocities.com/sfaapage/ejstrongne.html.
102. The Church of Jesus Christ of Latter-day Saints, Ancestral File (R), (Copyright (c) 1987, June 1998, data as of 5 January 1998), "Electronic."
103. Gino Pagotto and MFB Strong, Strong Family Association of America, Incorporated 1979 - located at http://www.geocities.com/Heartland/Prairie/4715/ as of 24 Oct 2006, http://www.geocities.com/sfaapage/ejstrongne.html.
104. The Church of Jesus Christ of Latter-day Saints, Ancestral File (R), (Copyright (c) 1987, June 1998, data as of 5 January 1998), "Electronic."
105. Gino Pagotto and MFB Strong, Strong Family Association of America, Incorporated 1979 - located at http://www.geocities.com/Heartland/Prairie/4715/ as of 24 Oct 2006, http://www.geocities.com/sfaapage/ejstrongne.html.
106. The Church of Jesus Christ of Latter-day Saints, Ancestral File (R), (Copyright (c) 1987, June 1998, data as of 5 January 1998), "Electronic."
107. Susan B. Stavropoulos, v10t0507.FTW, (World Family Tree submission Volume 10 Tree 0507), "CD-ROM," Date of Import: Dec 25, 2000.
108. The Church of Jesus Christ of Latter-day Saints, Ancestral File (R), (Copyright (c) 1987, June 1998, data as of 5 January 1998), "Electronic."
109. Gino Pagotto and MFB Strong, Strong Family Association of America, Incorporated 1979 - located at http://www.geocities.com/Heartland/Prairie/4715/ as of 24 Oct 2006, http://www.geocities.com/sfaapage/ejstrongne.html.
110. The Church of Jesus Christ of Latter-day Saints, Ancestral File (R), (Copyright (c) 1987, June 1998, data as of 5 January 1998), "Electronic."
111. Susan B. Stavropoulos, v10t0507.FTW, (World Family Tree submission Volume 10 Tree 0507), "CD-ROM," Date of Import: Dec 25, 2000.
112. Gino Pagotto and MFB Strong, Strong Family Association of America, Incorporated 1979 - located at http://www.geocities.com/Heartland/Prairie/4715/ as of 24 Oct 2006, http://www.geocities.com/sfaapage/ejstrongne.html.
113. The Church of Jesus Christ of Latter-day Saints, Ancestral File (R), (Copyright (c) 1987, June 1998, data as of 5 January 1998), "Electronic."
114. Susan B. Stavropoulos, v10t0507.FTW, (World Family Tree submission Volume 10 Tree 0507), "CD-ROM," Date of Import: Dec 25, 2000.
115. The Church of Jesus Christ of Latter-day Saints, Ancestral File (R), (Copyright (c) 1987, June 1998, data as of 5 January 1998), "Electronic."
116. Gino Pagotto and MFB Strong, Strong Family Association of America, Incorporated 1979 - located at http://www.geocities.com/Heartland/Prairie/4715/ as of 24 Oct 2006, http://www.geocities.com/sfaapage/ejstrongne.html.
117. The Church of Jesus Christ of Latter-day Saints, Ancestral File (R), (Copyright (c) 1987, June 1998, data as of 5 January 1998), "Electronic."
118. Gino Pagotto and MFB Strong, Strong Family Association of America, Incorporated 1979 - located at http://www.geocities.com/Heartland/Prairie/4715/ as of 24 Oct 2006, http://www.geocities.com/sfaapage/ejstrongne.html.
119. The Church of Jesus Christ of Latter-day Saints, Ancestral File (R), (Copyright (c) 1987, June 1998, data as of 5 January 1998), "Electronic."
120. Gino Pagotto and MFB Strong, Strong Family Association of America, Incorporated 1979 - located at http://www.geocities.com/Heartland/Prairie/4715/ as of 24 Oct 2006, http://www.geocities.com/sfaapage/ejstrongne.html.
121. The Church of Jesus Christ of Latter-day Saints, Ancestral File (R), (Copyright (c) 1987, June 1998, data as of 5 January 1998), "Electronic."
122. Gino Pagotto and MFB Strong, Strong Family Association of America, Incorporated 1979 - located at http://www.geocities.com/Heartland/Prairie/4715/ as of 24 Oct 2006, http://www.geocities.com/sfaapage/ejstrongne.html.
123. The Church of Jesus Christ of Latter-day Saints, Ancestral File (R), (Copyright (c) 1987, June 1998, data as of 5 January 1998), "Electronic."
124. Susan B. Stavropoulos, v10t0507.FTW, (World Family Tree submission Volume 10 Tree 0507), "CD-ROM," Date of Import: Dec 25, 2000.
125. The Church of Jesus Christ of Latter-day Saints, Ancestral File (R), (Copyright (c) 1987, June 1998, data as of 5 January 1998), "Electronic."
126. Gino Pagotto and MFB Strong, Strong Family Association of America, Incorporated 1979 - located at http://www.geocities.com/Heartland/Prairie/4715/ as of 24 Oct 2006, http://www.geocities.com/sfaapage/ejstrongne.html.
127. The Church of Jesus Christ of Latter-day Saints, Ancestral File (R), (Copyright (c) 1987, June 1998, data as of 5 January 1998), "Electronic."
128. Susan B. Stavropoulos, v10t0507.FTW, (World Family Tree submission Volume 10 Tree 0507), "CD-ROM," Date of Import: Dec 25, 2000.
129. The Church of Jesus Christ of Latter-day Saints, Ancestral File (R), (Copyright (c) 1987, June 1998, data as of 5 January 1998), "Electronic."
130. Gino Pagotto and MFB Strong, Strong Family Association of America, Incorporated 1979 - located at http://www.geocities.com/Heartland/Prairie/4715/ as of 24 Oct 2006, http://www.geocities.com/sfaapage/ejstrongne.html.
131. The Church of Jesus Christ of Latter-day Saints, Ancestral File (R), (Copyright (c) 1987, June 1998, data as of 5 January 1998), "Electronic."
132. Gino Pagotto and MFB Strong, Strong Family Association of America, Incorporated 1979 - located at http://www.geocities.com/Heartland/Prairie/4715/ as of 24 Oct 2006, http://www.geocities.com/sfaapage/ejstrongne.html.
133. The Church of Jesus Christ of Latter-day Saints, Ancestral File (R), (Copyright (c) 1987, June 1998, data as of 5 January 1998), "Electronic."
134. Susan B. Stavropoulos, v10t0507.FTW, (World Family Tree submission Volume 10 Tree 0507), "CD-ROM," Date of Import: Dec 25, 2000.
135. The Church of Jesus Christ of Latter-day Saints, Ancestral File (R), (Copyright (c) 1987, June 1998, data as of 5 January 1998), "Electronic."
136. Susan B. Stavropoulos, v10t0507.FTW, (World Family Tree submission Volume 10 Tree 0507), "CD-ROM," Date of Import: Dec 25, 2000.
137. The Church of Jesus Christ of Latter-day Saints, Ancestral File (R), (Copyright (c) 1987, June 1998, data as of 5 January 1998), "Electronic."
138. Susan B. Stavropoulos, v10t0507.FTW, (World Family Tree submission Volume 10 Tree 0507), "CD-ROM," Date of Import: Dec 25, 2000.
139. The Church of Jesus Christ of Latter-day Saints, Ancestral File (R), (Copyright (c) 1987, June 1998, data as of 5 January 1998), "Electronic."
140. Gino Pagotto and MFB Strong, Strong Family Association of America, Incorporated 1979 - located at http://www.geocities.com/Heartland/Prairie/4715/ as of 24 Oct 2006, http://www.geocities.com/sfaapage/ejstrongne.html.
141. The Church of Jesus Christ of Latter-day Saints, Ancestral File (R), (Copyright (c) 1987, June 1998, data as of 5 January 1998), "Electronic."
142. Susan B. Stavropoulos, v10t0507.FTW, (World Family Tree submission Volume 10 Tree 0507), "CD-ROM," Date of Import: Dec 25, 2000.
143. Gino Pagotto and MFB Strong, Strong Family Association of America, Incorporated 1979 - located at http://www.geocities.com/Heartland/Prairie/4715/ as of 24 Oct 2006, http://www.geocities.com/sfaapage/ejstrongne.html.
144. Susan B. Stavropoulos, v10t0507.FTW, (World Family Tree submission Volume 10 Tree 0507), "CD-ROM," Date of Import: Dec 25, 2000.
145. The Church of Jesus Christ of Latter-day Saints, Ancestral File (R), (Copyright (c) 1987, June 1998, data as of 5 January 1998), "Electronic."
146. Susan B. Stavropoulos, v10t0507.FTW, (World Family Tree submission Volume 10 Tree 0507), "CD-ROM," Date of Import: Dec 25, 2000.
147. The Church of Jesus Christ of Latter-day Saints, Ancestral File (R), (Copyright (c) 1987, June 1998, data as of 5 January 1998), "Electronic."
148. Susan B. Stavropoulos, v10t0507.FTW, (World Family Tree submission Volume 10 Tree 0507), "CD-ROM," Date of Import: Dec 25, 2000.
149. The Church of Jesus Christ of Latter-day Saints, Ancestral File (R), (Copyright (c) 1987, June 1998, data as of 5 January 1998), "Electronic."
150. Susan B. Stavropoulos, v10t0507.FTW, (World Family Tree submission Volume 10 Tree 0507), "CD-ROM," Date of Import: Dec 25, 2000.
151. The Church of Jesus Christ of Latter-day Saints, Ancestral File (R), (Copyright (c) 1987, June 1998, data as of 5 January 1998), "Electronic."
152. Susan B. Stavropoulos, v10t0507.FTW, (World Family Tree submission Volume 10 Tree 0507), "CD-ROM," Date of Import: Dec 25, 2000.
153. The Church of Jesus Christ of Latter-day Saints, Ancestral File (R), (Copyright (c) 1987, June 1998, data as of 5 January 1998), "Electronic."
154. Susan B. Stavropoulos, v10t0507.FTW, (World Family Tree submission Volume 10 Tree 0507), "CD-ROM," Date of Import: Dec 25, 2000.
155. The Church of Jesus Christ of Latter-day Saints, Ancestral File (R), (Copyright (c) 1987, June 1998, data as of 5 January 1998), "Electronic."
156. Susan B. Stavropoulos, v10t0507.FTW, (World Family Tree submission Volume 10 Tree 0507), "CD-ROM," Date of Import: Dec 25, 2000.
157. The Church of Jesus Christ of Latter-day Saints, Ancestral File (R), (Copyright (c) 1987, June 1998, data as of 5 January 1998), "Electronic."
158. Susan B. Stavropoulos, v10t0507.FTW, (World Family Tree submission Volume 10 Tree 0507), "CD-ROM," Date of Import: Dec 25, 2000.
159. The Church of Jesus Christ of Latter-day Saints, Ancestral File (R), (Copyright (c) 1987, June 1998, data as of 5 January 1998), "Electronic."
160. Susan B. Stavropoulos, v10t0507.FTW, (World Family Tree submission Volume 10 Tree 0507), "CD-ROM," Date of Import: Dec 25, 2000.
161. The Church of Jesus Christ of Latter-day Saints, Ancestral File (R), (Copyright (c) 1987, June 1998, data as of 5 January 1998), "Electronic."
162. Susan B. Stavropoulos, v10t0507.FTW, (World Family Tree submission Volume 10 Tree 0507), "CD-ROM," Date of Import: Dec 25, 2000.
163. The Church of Jesus Christ of Latter-day Saints, Ancestral File (R), (Copyright (c) 1987, June 1998, data as of 5 January 1998), "Electronic."
164. Susan B. Stavropoulos, v10t0507.FTW, (World Family Tree submission Volume 10 Tree 0507), "CD-ROM," Date of Import: Dec 25, 2000.
165. The Church of Jesus Christ of Latter-day Saints, Ancestral File (R), (Copyright (c) 1987, June 1998, data as of 5 January 1998), "Electronic."
166. Susan B. Stavropoulos, v10t0507.FTW, (World Family Tree submission Volume 10 Tree 0507), "CD-ROM," Date of Import: Dec 25, 2000.
167. The Church of Jesus Christ of Latter-day Saints, Ancestral File (R), (Copyright (c) 1987, June 1998, data as of 5 January 1998), "Electronic."
168. Susan B. Stavropoulos, v10t0507.FTW, (World Family Tree submission Volume 10 Tree 0507), "CD-ROM," Date of Import: Dec 25, 2000.
169. The Church of Jesus Christ of Latter-day Saints, Ancestral File (R), (Copyright (c) 1987, June 1998, data as of 5 January 1998), "Electronic."
170. Susan B. Stavropoulos, v10t0507.FTW, (World Family Tree submission Volume 10 Tree 0507), "CD-ROM," Date of Import: Dec 25, 2000.
171. The Church of Jesus Christ of Latter-day Saints, Ancestral File (R), (Copyright (c) 1987, June 1998, data as of 5 January 1998), "Electronic."
172. Susan B. Stavropoulos, v10t0507.FTW, (World Family Tree submission Volume 10 Tree 0507), "CD-ROM," Date of Import: Dec 25, 2000.
173. The Church of Jesus Christ of Latter-day Saints, Ancestral File (R), (Copyright (c) 1987, June 1998, data as of 5 January 1998), "Electronic."
174. Susan B. Stavropoulos, v10t0507.FTW, (World Family Tree submission Volume 10 Tree 0507), "CD-ROM," Date of Import: Dec 25, 2000.
175. The Church of Jesus Christ of Latter-day Saints, Ancestral File (R), (Copyright (c) 1987, June 1998, data as of 5 January 1998), "Electronic."
176. Susan B. Stavropoulos, v10t0507.FTW, (World Family Tree submission Volume 10 Tree 0507), "CD-ROM," Date of Import: Dec 25, 2000.
177. The Church of Jesus Christ of Latter-day Saints, Ancestral File (R), (Copyright (c) 1987, June 1998, data as of 5 January 1998), "Electronic."
178. Susan B. Stavropoulos, v10t0507.FTW, (World Family Tree submission Volume 10 Tree 0507), "CD-ROM," Date of Import: Dec 25, 2000.
179. The Church of Jesus Christ of Latter-day Saints, Ancestral File (R), (Copyright (c) 1987, June 1998, data as of 5 January 1998), "Electronic."
180. Susan B. Stavropoulos, v10t0507.FTW, (World Family Tree submission Volume 10 Tree 0507), "CD-ROM," Date of Import: Dec 25, 2000.
181. The Church of Jesus Christ of Latter-day Saints, Ancestral File (R), (Copyright (c) 1987, June 1998, data as of 5 January 1998), "Electronic."
182. Gino Pagotto and MFB Strong, Strong Family Association of America, Incorporated 1979 - located at http://www.geocities.com/Heartland/Prairie/4715/ as of 24 Oct 2006, http://www.geocities.com/sfaapage/ejstrongne.html.
183. The Church of Jesus Christ of Latter-day Saints, Ancestral File (R), (Copyright (c) 1987, June 1998, data as of 5 January 1998), "Electronic."
184. Gino Pagotto and MFB Strong, Strong Family Association of America, Incorporated 1979 - located at http://www.geocities.com/Heartland/Prairie/4715/ as of 24 Oct 2006, http://www.geocities.com/sfaapage/ejstrongne.html.
185. The Church of Jesus Christ of Latter-day Saints, Ancestral File (R), (Copyright (c) 1987, June 1998, data as of 5 January 1998), "Electronic."
186. Susan B. Stavropoulos, v10t0507.FTW, (World Family Tree submission Volume 10 Tree 0507), "CD-ROM," Date of Import: Dec 25, 2000.
187. The Church of Jesus Christ of Latter-day Saints, Ancestral File (R), (Copyright (c) 1987, June 1998, data as of 5 January 1998), "Electronic."
188. Susan B. Stavropoulos, v10t0507.FTW, (World Family Tree submission Volume 10 Tree 0507), "CD-ROM," Date of Import: Dec 25, 2000.
189. The Church of Jesus Christ of Latter-day Saints, Ancestral File (R), (Copyright (c) 1987, June 1998, data as of 5 January 1998), "Electronic."
190. Susan B. Stavropoulos, v10t0507.FTW, (World Family Tree submission Volume 10 Tree 0507), "CD-ROM," Date of Import: Dec 25, 2000.
191. The Church of Jesus Christ of Latter-day Saints, Ancestral File (R), (Copyright (c) 1987, June 1998, data as of 5 January 1998), "Electronic."
192. Susan B. Stavropoulos, v10t0507.FTW, (World Family Tree submission Volume 10 Tree 0507), "CD-ROM," Date of Import: Dec 25, 2000.
193. The Church of Jesus Christ of Latter-day Saints, Ancestral File (R), (Copyright (c) 1987, June 1998, data as of 5 January 1998), "Electronic."
194. Susan B. Stavropoulos, v10t0507.FTW, (World Family Tree submission Volume 10 Tree 0507), "CD-ROM," Date of Import: Dec 25, 2000.
195. The Church of Jesus Christ of Latter-day Saints, Ancestral File (R), (Copyright (c) 1987, June 1998, data as of 5 January 1998), "Electronic."
196. Susan B. Stavropoulos, v10t0507.FTW, (World Family Tree submission Volume 10 Tree 0507), "CD-ROM," Date of Import: Dec 25, 2000.
197. The Church of Jesus Christ of Latter-day Saints, Ancestral File (R), (Copyright (c) 1987, June 1998, data as of 5 January 1998), "Electronic."
198. Susan B. Stavropoulos, v10t0507.FTW, (World Family Tree submission Volume 10 Tree 0507), "CD-ROM," Date of Import: Dec 25, 2000.
199. The Church of Jesus Christ of Latter-day Saints, Ancestral File (R), (Copyright (c) 1987, June 1998, data as of 5 January 1998), "Electronic."
200. Susan B. Stavropoulos, v10t0507.FTW, (World Family Tree submission Volume 10 Tree 0507), "CD-ROM," Date of Import: Dec 25, 2000.
201. The Church of Jesus Christ of Latter-day Saints, Ancestral File (R), (Copyright (c) 1987, June 1998, data as of 5 January 1998), "Electronic."
202. Susan B. Stavropoulos, v10t0507.FTW, (World Family Tree submission Volume 10 Tree 0507), "CD-ROM," Date of Import: Dec 25, 2000.
203. The Church of Jesus Christ of Latter-day Saints, Ancestral File (R), (Copyright (c) 1987, June 1998, data as of 5 January 1998), "Electronic."
204. Susan B. Stavropoulos, v10t0507.FTW, (World Family Tree submission Volume 10 Tree 0507), "CD-ROM," Date of Import: Dec 25, 2000.
205. The Church of Jesus Christ of Latter-day Saints, Ancestral File (R), (Copyright (c) 1987, June 1998, data as of 5 January 1998), "Electronic."
206. Susan B. Stavropoulos, v10t0507.FTW, (World Family Tree submission Volume 10 Tree 0507), "CD-ROM," Date of Import: Dec 25, 2000.
[Strong Family Tree] [Strong Family Endnotes]
|
Steven R. Lusk © 2005 | All Rights Reserved |
|
This page was last updated on 03/24/2008