<-->
"We Can Not Now Take Time For Further Search Or Consideration: Our Victuals Being Spent, Especially Our Beer"
Log book entry of the 'Mayflower' dated December 12, 1620
Joes® Original Kettle House!

What ALES You?


Mighty Joe Young
(No Affiliation!)
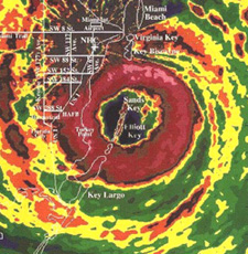
Joe Survives Hurricane Andrew!

South Florida, August 23, 1992

NEXT PAGE